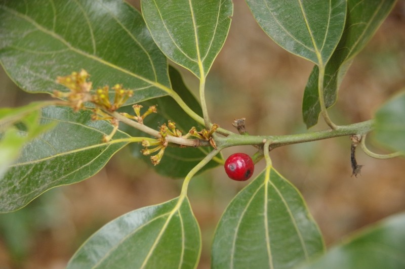
シロダモ(花、実) (クスノキ科シロダモ属)






































10



11



12



13



14



15



16



17


1-3:2018.12.23交野市交野山にて、4:2019.2.10、六甲山、石切道にて、5-7:2019.5.24、広島市にて、8:2019.6.2、豊能妙見山の初谷にて、
9-10:2019.12.8、和泉山脈、高城山にて、11-14:2020.1.5、生駒山にて、15-17:2020.11.1、鈴鹿山脈・四方草山にて

秋、艶のある赤い実が目立ちます。楕円球形。山地に生える常緑の高木です。7、17のように実と花が同時に見られることが
あります。つまり、赤い実は一年前の花から育ったものなのです。4〜7の枝先にあるのは花の痕。8は未熟の実。